Tracking Pseiifloridase Hurricanes: A Satellite View

O.Artsplacecanmore 78 views
Tracking Pseiifloridase Hurricanes: A Satellite View

Tracking Pseiifloridase Hurricanes: A Satellite View

Understanding and tracking hurricanes is crucial for disaster preparedness and mitigation. This article delves into the use of satellite technology in monitoring pseiifloridase hurricanes , examining how these storms are observed and analyzed from space. Satellites provide a comprehensive and continuous view, allowing meteorologists to gather essential data for forecasting and early warning systems. We’ll explore the specific capabilities of different satellite types, the data they collect, and how this information contributes to our understanding of these powerful weather phenomena. Let’s dive in, guys, and get the lowdown on how these amazing tools in the sky help keep us safe!

The Role of Satellites in Hurricane Monitoring

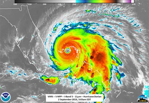
Satellites play an indispensable role in monitoring hurricanes, especially pseiifloridase hurricanes , offering a vantage point that ground-based systems simply can’t match. Traditional methods like weather stations and radar are limited by their geographical coverage and can’t provide the same broad, real-time data that satellites do. There are two primary types of weather satellites: geostationary and polar-orbiting. Geostationary satellites orbit the Earth at the same rate as the Earth’s rotation, allowing them to maintain a constant view of the same area. This continuous monitoring is invaluable for tracking the development and movement of hurricanes. Polar-orbiting satellites, on the other hand, circle the Earth from pole to pole, providing detailed images of different regions as they pass over. While they don’t offer continuous coverage of a single area, they provide higher-resolution images and can gather data on a wider range of atmospheric conditions. The data collected by these satellites includes cloud cover, temperature, humidity, and wind speed, all of which are critical for understanding a hurricane’s intensity and trajectory. Furthermore, satellite data is used to create detailed models that help predict the future path and strength of the storm. This information is then disseminated to weather agencies and the public, enabling timely warnings and evacuations. Without satellites, our ability to monitor and predict hurricanes would be severely limited , leaving communities vulnerable to these destructive forces. The ability to see these storms brewing from space, and to understand their behavior, is a game-changer in disaster preparedness. It’s like having a super-powered weather eye in the sky, constantly watching and providing invaluable data to keep us all safe. So, next time you see a weather forecast, remember the unsung heroes orbiting above us, working tirelessly to keep us informed and protected.

Types of Satellites Used for Hurricane Observation

Different types of satellites are employed to observe hurricanes, including pseiifloridase hurricanes , each with its unique capabilities and instrumentation. Geostationary Operational Environmental Satellites (GOES), operated by NOAA (National Oceanic and Atmospheric Administration), provide continuous, high-resolution imagery of the Americas and surrounding oceans. These satellites are essential for tracking the real-time movement and development of hurricanes. GOES satellites are equipped with advanced imagers that capture visible and infrared light, allowing meteorologists to observe cloud formations, sea surface temperatures, and storm intensity. Polar-orbiting satellites, such as the Joint Polar Satellite System (JPSS), offer complementary data. While they don’t provide continuous coverage like GOES, they offer higher resolution imagery and can measure atmospheric temperature and humidity with greater accuracy. These measurements are crucial for understanding the vertical structure of hurricanes and improving forecast models. In addition to GOES and JPSS, other satellites, such as those operated by the European Organisation for the Exploitation of Meteorological Satellites (EUMETSAT), also contribute to global hurricane monitoring efforts. These satellites provide valuable data over different regions of the world, enhancing the overall coverage and accuracy of hurricane forecasts. Furthermore, some satellites are equipped with specialized instruments like scatterometers, which measure wind speed and direction over the ocean surface. This information is particularly useful for identifying the location and intensity of a hurricane’s eyewall, the most dangerous part of the storm. The combination of data from these various satellite systems provides a comprehensive and detailed picture of hurricanes , enabling meteorologists to make more accurate forecasts and issue timely warnings. It’s like having a team of experts, each with their own specialized tools, working together to solve a complex puzzle. The more data we have, the better we can understand these storms and protect communities in their path.

Data Collection and Analysis

The process of data collection and analysis from satellites is a critical component of hurricane monitoring, particularly when dealing with pseiifloridase hurricanes . Satellites are equipped with a variety of sensors that collect data on various atmospheric and oceanic parameters. Visible and infrared sensors capture images of cloud formations, allowing meteorologists to observe the size, shape, and structure of a hurricane. Infrared sensors can also measure the temperature of cloud tops, which is an indicator of storm intensity. Colder cloud tops generally indicate stronger storms. Microwave sensors can penetrate through clouds to measure rainfall rates and sea surface winds, providing valuable information about the hurricane’s inner core. Data from these sensors are transmitted to ground stations, where they are processed and analyzed by meteorologists and computer models. Sophisticated algorithms are used to extract information about wind speed, rainfall intensity, and atmospheric pressure. This data is then incorporated into numerical weather prediction models, which are used to forecast the future path and intensity of the hurricane. Meteorologists also use satellite data to monitor changes in the storm’s structure and behavior, such as the formation of an eye or the intensification of the eyewall. This real-time monitoring allows them to issue timely warnings and advisories to the public. The accuracy of hurricane forecasts depends heavily on the quality and quantity of satellite data . As satellite technology continues to advance, we can expect even more detailed and accurate information about hurricanes, leading to improved forecasts and better preparedness. Think of it like a high-tech detective solving a case – the more clues they have, the better they can understand what’s happening and predict what will happen next. Satellite data is the crucial evidence that helps us unravel the mysteries of these powerful storms.

Improving Hurricane Forecasting with Satellite Technology

Satellite technology has significantly improved hurricane forecasting, providing meteorologists with the tools they need to predict the path and intensity of these storms with greater accuracy. This is especially true when monitoring pseiifloridase hurricanes . Before the advent of weather satellites, hurricane forecasting relied primarily on observations from ships and coastal weather stations, which provided limited and often incomplete data. Today, satellites provide a continuous and comprehensive view of hurricanes, allowing meteorologists to track their movement and development in real-time. One of the key ways that satellite technology has improved hurricane forecasting is through the assimilation of satellite data into numerical weather prediction models. These models use complex mathematical equations to simulate the behavior of the atmosphere and predict future weather conditions. By incorporating satellite data into these models, meteorologists can improve the accuracy of their forecasts. For example, satellite measurements of sea surface temperature can help predict the intensity of a hurricane, as warmer waters provide more energy for the storm to grow. Satellite measurements of wind speed and direction can also help predict the path of a hurricane, as these winds steer the storm along its trajectory. In addition to improving the accuracy of forecasts, satellite technology has also enabled meteorologists to extend the lead time for hurricane warnings. This gives communities more time to prepare for the storm and evacuate if necessary. The ongoing development of new and improved satellite technologies promises to further enhance our ability to forecast hurricanes , saving lives and reducing property damage. It’s like upgrading from a basic map to a GPS system – the more advanced the technology, the better we can navigate and avoid potential dangers. Satellites are our advanced GPS for tracking hurricanes, guiding us towards better preparedness and safer outcomes.

Challenges and Future Directions

Despite the significant advancements in satellite technology , there are still challenges in using satellite data for hurricane monitoring and forecasting, especially when dealing with complex pseiifloridase hurricanes . One of the main challenges is the limited resolution of some satellite sensors. While some satellites provide high-resolution imagery, others have lower resolution, which can make it difficult to accurately measure certain parameters, such as wind speed and rainfall intensity. Another challenge is the presence of clouds, which can obscure the view of the ocean surface and make it difficult to measure sea surface temperature and other important parameters. To overcome these challenges, researchers are working on developing new and improved satellite sensors with higher resolution and better cloud-penetrating capabilities. They are also developing more sophisticated algorithms for processing satellite data, which can help to improve the accuracy of hurricane forecasts. In addition, there is a growing effort to integrate data from multiple satellite systems, as well as from other sources such as weather balloons and radar, to create a more complete and accurate picture of hurricanes. Looking to the future, there are several exciting developments on the horizon in satellite technology for hurricane monitoring. One is the development of hyperspectral imagers, which can measure the reflectance of light at hundreds of different wavelengths. This will provide much more detailed information about the composition and structure of clouds, which can help to improve our understanding of hurricane development. Another is the development of small satellites, or CubeSats, which can be deployed in large numbers to provide more frequent and localized observations of hurricanes. These advancements promise to further enhance our ability to monitor and forecast hurricanes , leading to improved preparedness and reduced risk. It’s like constantly upgrading our tools to stay ahead of the game. As we continue to innovate and push the boundaries of what’s possible, we can look forward to a future where we are better equipped to protect ourselves from the devastating impacts of these powerful storms. This ongoing quest for knowledge and improved technology is what will ultimately keep us safer and more informed.