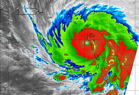
Satellite Tracking: Hurricane Maria Live

O.Artsplacecanmore 140 views
Satellite Tracking: Hurricane Maria Live

Satellite Tracking: Hurricane Maria Live

Hey guys! Let’s dive into something super fascinating and important: tracking Hurricane Maria live using satellite imagery. I know, it sounds a bit techy, but trust me, it’s really cool and crucial for understanding what’s happening during these massive storms. We’ll break down how satellites give us a bird’s-eye view, what kind of data they collect, and why this information is absolutely vital for keeping folks safe. So, grab a coffee, and let’s get started on how we can watch Hurricane Maria in real-time ! Tracking hurricanes is a complex process. The ability to monitor a hurricane’s intensity, location, and path depends heavily on the use of modern technology. Satellites are one of the most important tools. They gather crucial information that helps weather forecasters and disaster relief organizations prepare for and respond to hurricanes.

The Power of Satellites in Monitoring Hurricanes

Satellite technology has revolutionized how we observe and understand hurricanes. Before satellites, we relied on surface observations from ships and land-based weather stations, which provided limited data, especially over the ocean. Satellites, on the other hand, offer a comprehensive view, allowing us to monitor hurricanes 24 7 , regardless of location. The primary types of satellites used for hurricane tracking are geostationary and polar-orbiting satellites. Geostationary satellites, such as GOES (Geostationary Operational Environmental Satellite), stay fixed over a specific point on Earth. They provide continuous monitoring of a wide area, which is essential for tracking the movement and development of hurricanes. These satellites capture images in various wavelengths, including visible, infrared, and water vapor, giving us a complete picture of the storm. Polar-orbiting satellites, like NOAA (National Oceanic and Atmospheric Administration) satellites, orbit the Earth from pole to pole. They pass over every part of the globe and provide detailed data on atmospheric conditions, such as temperature, humidity, and wind speed. This data is critical for refining hurricane forecasts and understanding the storm’s intensity. Satellite data is crucial for forecasting because it provides a comprehensive view of the storm’s structure. This includes the size of the storm, the temperature of the cloud tops, and the location of the eye of the hurricane. The ability to view all aspects of the hurricane is critical to understanding how the hurricane interacts with the atmosphere and ocean. This information is vital for forecasting the storm’s path, intensity, and potential impacts.

How Satellites See Hurricanes

Alright, so how do these satellites actually ‘see’ a hurricane like Maria? It’s not like they have a giant eye looking down! Instead, they use a bunch of clever sensors to gather different types of data. First off, visible light imagery is what you’d see if you were up in space. It’s like a photo, showing the clouds and the shape of the hurricane. But the cool thing is, satellites can also see in infrared and microwave. Infrared helps measure the temperature of the cloud tops – colder clouds mean stronger thunderstorms, which often indicates a more intense hurricane. Microwave sensors can actually ‘see’ through the clouds and rain to measure the intensity of the rainfall and the structure of the storm. Besides images, satellites also gather crucial information about wind speeds and direction near the surface and higher up in the atmosphere. This is done using a variety of instruments that measure how radio signals are affected by the atmosphere. This data helps forecasters understand the storm’s dynamics and predict its movement. All of this data is then beamed back to Earth, where meteorologists analyze it using supercomputers and sophisticated models. They create detailed forecasts that show where the hurricane is headed, how strong it will be, and what areas are most at risk. This is the magic behind hurricane tracking. The data that is gathered by satellites is very important. Without these observations, the forecasts would be much less accurate. This means that people in the path of the storm would have less time to prepare, and the damage would be much worse.

Types of Data Collected

Satellites collect different types of data. These are used to gain a comprehensive understanding of hurricanes. Each type of data contributes to the accuracy of forecasts.

  1. Visible Imagery : This is the most basic form of data. It provides visual images of the hurricane. This is similar to what we see with our own eyes. The pictures are used to track the location and size of the hurricane. They help to identify the clouds. This reveals the structure of the hurricane. Satellite imagery is very important for observing the hurricane. This is particularly useful for tracking the hurricane’s movement and identifying its overall shape and structure. These images are captured in various wavelengths. This allows meteorologists to observe the storm from many angles.
  2. Infrared Imagery : Infrared sensors measure the temperature of the cloud tops. Colder cloud tops indicate stronger thunderstorms and, potentially, a more intense hurricane. The color in the images changes depending on the temperature. The colder the cloud tops, the more intense the storm is likely to be. This data is crucial for assessing the intensity of a hurricane. It also helps in predicting its development.
  3. Microwave Imagery : Microwave sensors can ‘see’ through the clouds and rain to measure the intensity of rainfall and the structure of the storm. This is essential for understanding the distribution of rainfall. This information is critical for predicting flooding and other impacts associated with the hurricane.
  4. Wind Speed and Direction Data : Satellites measure wind speed and direction at different levels of the atmosphere. They use instruments that measure how radio signals are affected by the atmosphere. This helps in understanding the dynamics of the hurricane. The use of this data improves forecasts of the storm’s movement and intensity. It also helps to predict its impact.

Real-Time Tracking of Hurricane Maria

During Hurricane Maria, the use of satellite data was absolutely critical. Satellites provided constant updates on the storm’s location, intensity, and structure as it barreled through the Caribbean. Because of these observations, forecasters could continually refine their predictions . This enabled them to warn people in the affected areas and give them the time they needed to prepare. The real-time tracking allowed disaster relief agencies to mobilize resources and respond quickly to the hardest-hit areas. They could predict the regions that needed assistance and send help. The continuous monitoring of Hurricane Maria provided essential information that helped people make informed decisions. These decisions were necessary for their safety and the safety of their communities. Satellites played a crucial role in mitigating the impact of the hurricane by helping to prepare for and respond to the disaster. The satellite data was used to create detailed forecasts that showed where the hurricane was headed, how strong it would be, and what areas were most at risk. This information was shared with the public through various media outlets. This included television, radio, and the internet. It was also given to emergency management agencies and local officials. This allowed them to make decisions about evacuations and other safety measures. The impact of Hurricane Maria was devastating, but the information provided by satellites helped to save lives and reduce the loss of property. The data allowed emergency responders to quickly deploy resources and provide assistance to those affected by the storm. This included providing food, water, and shelter to those who needed it.

Tools for Tracking Hurricanes

To view and analyze this satellite data, meteorologists and the public use various tools and resources:

  • Satellite Websites: Many weather websites offer real-time satellite imagery of hurricanes. These sites provide images from geostationary and polar-orbiting satellites. They also display animated loops showing the movement and development of the storm.
  • Weather Apps: Most weather apps include satellite imagery. These apps allow you to track hurricanes on your phone or tablet. They provide up-to-date information on the location, intensity, and forecast track of the storm.
  • National Hurricane Center (NHC): The NHC is the primary source of information on hurricanes in the United States. They provide detailed forecasts, including satellite images and data, to the public. The NHC’s website and social media channels are updated regularly with the latest information on hurricanes.
  • Meteorological Services: Many weather services around the world provide satellite data and analysis. They provide information about tropical cyclones. They also help to analyze the information about hurricanes. This includes images, data, and forecasts. They help people to understand the development and impact of these storms.

The Importance of Satellite Monitoring

So, why is all of this so darn important? Well, satellite monitoring of hurricanes, like Maria, is absolutely crucial for several reasons. First, it allows for early warning. By constantly watching the storm, we can see it developing and track its path. This gives people more time to prepare and evacuate. Second, satellite data helps improve forecast accuracy. The more data we have, the better we can predict where the hurricane is going, how strong it will get, and what areas will be impacted. Lastly, satellite monitoring is vital for disaster response. When a hurricane hits, emergency responders need to know where the damage is worst and where to send help. Satellite data provides this information, which is critical for saving lives and minimizing damage. Without satellite monitoring, we’d be flying blind when it comes to hurricanes. Satellites give us the most important information about hurricanes. Satellite information is necessary for making informed decisions about how to prepare for and respond to these dangerous storms. It is important to know that satellites cannot completely eliminate the risks associated with hurricanes. However, by providing crucial data, these satellites make a great difference in protecting human lives and minimizing property damage.

Staying Safe During Hurricane Season

  1. Stay Informed : Monitor weather forecasts. Get information from the NHC and other reliable sources.
  2. Prepare a Plan : Have an evacuation plan. Know where to go and what to do in case of a hurricane.
  3. Build a Kit : Gather emergency supplies. Include water, food, first aid, and other essentials.
  4. Secure Your Home : Protect your property by securing loose objects. This is also important by reinforcing windows and doors.
  5. Follow Instructions : Obey evacuation orders and heed warnings from local authorities. They know the area and are focused on public safety.

That’s the basic breakdown of how we track hurricanes like Maria using satellites. It’s a testament to how far we’ve come in meteorology. I hope you found this useful, guys. Remember, staying informed and prepared is key during hurricane season. Stay safe out there!