INOAA Tropical Forecast: Hurricane Tracker Guide
INOAA Tropical Forecast: Your Ultimate Hurricane Tracker Guide
Hey weather enthusiasts! Are you ready to dive into the exciting world of INOAA tropical forecasts and hurricane tracking? In this comprehensive guide, we’ll explore everything you need to know about the INOAA hurricane tracker , including how to understand the forecasts, interpret the data, and stay informed during hurricane season. So, grab your coffee, buckle up, and let’s get started!
Table of Contents
- Understanding INOAA and Its Role in Tropical Forecasting
- Decoding INOAA Hurricane Forecasts: A Step-by-Step Guide
- Key Elements to Watch For:
- Using the INOAA Hurricane Tracker: A Hands-On Approach
- Navigating the Tracker
- Tips for Effective Tracking
- Preparing for a Hurricane: Staying Safe and Informed
- Before the Storm
- During the Storm
- After the Storm
- Conclusion: Your Role in Hurricane Preparedness
Understanding INOAA and Its Role in Tropical Forecasting
First things first, what exactly is INOAA, and why should you care about their tropical forecasts? Well, INOAA stands for the International Network of Online Analysis and Archives . It’s a key player in providing crucial information about hurricanes and tropical storms. It helps you stay informed of the hazards. INOAA provides services for public good, that focuses on a wide variety of subjects. INOAA’s commitment to delivering reliable weather information is paramount, with a core focus on safeguarding communities from severe weather events. INOAA’s mission extends far beyond simple weather reporting. INOAA’s team, are dedicated to researching, analyzing, and disseminating critical data to the public. They work tirelessly to improve our understanding of complex weather patterns, including the genesis and behavior of tropical cyclones. The INOAA team leverages cutting-edge technology and sophisticated modeling techniques to deliver timely and accurate forecasts, warning systems, and educational resources. INOAA is dedicated to supporting communities around the world in their efforts to mitigate the devastating effects of hurricanes and tropical storms. INOAA has a significant global reach, serving as a vital resource for meteorologists, emergency managers, and the general public. INOAA actively collaborates with international partners, research institutions, and government agencies to exchange expertise and enhance forecasting capabilities. INOAA’s role in tropical forecasting is not just limited to providing data. It is committed to fostering a culture of preparedness and resilience, empowering individuals and communities to take proactive measures to protect lives and property. INOAA’s hurricane tracker is a critical tool for monitoring the progress and potential impacts of these powerful storms.
INOAA’s forecasts are based on a complex process that involves gathering data from various sources, including satellites, radar, and weather stations. This data is then fed into sophisticated computer models that simulate atmospheric conditions and predict the path and intensity of tropical cyclones. These models are constantly refined and improved, incorporating new data and scientific advancements to increase their accuracy. When a tropical cyclone is forming, INOAA issues a series of advisories and bulletins. These are designed to keep the public informed about the storm’s status. Each advisory contains critical information, such as the storm’s current location, wind speeds, and expected movement. INOAA also issues various warnings, such as hurricane watches and warnings. These warnings are designed to alert the public of the potential for dangerous conditions. These warnings specify the areas that are likely to be affected, the expected impacts, and the actions that people should take to stay safe. INOAA’s forecasts also include information about potential hazards associated with tropical cyclones, such as storm surge, heavy rainfall, and flooding. This information allows emergency managers and the public to take the necessary steps to prepare for these hazards and mitigate their impact. INOAA’s website is a user-friendly resource that provides comprehensive information about tropical cyclones. The website includes detailed forecasts, maps, and other interactive tools that allow users to track storms and assess potential risks. The website also provides educational materials, such as tutorials and frequently asked questions, to help the public understand the science of tropical cyclones and how to stay safe. INOAA also works closely with local and regional partners to share information and provide support during tropical cyclone events. This collaboration ensures that critical information is disseminated quickly and accurately. This collaborative approach enhances the effectiveness of INOAA’s forecasting and warning efforts.
Decoding INOAA Hurricane Forecasts: A Step-by-Step Guide
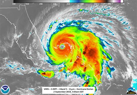
Alright, let’s break down how to actually read and understand an INOAA tropical forecast . It can seem like a foreign language at first, but trust me, it’s totally manageable! You can find the INOAA tropical forecasts on their official website. You’ll find a wealth of information that can help you understand the potential impacts of a tropical cyclone. The forecasts are updated regularly, so it’s a good idea to check them frequently. The forecast usually begins with a general overview of the weather system. This overview provides a summary of the storm’s location, intensity, and expected movement. The forecast also includes a detailed discussion of the potential impacts of the storm, such as wind, rainfall, and storm surge. The forecast also provides information about the potential hazards associated with the storm, such as flooding, landslides, and tornadoes. The forecasts usually contain various graphical elements, such as maps and charts. These graphical elements can help you to visualize the storm’s progress and potential impacts. Make sure to pay attention to the storm’s projected path, intensity, and the potential for any changes in the forecast. These maps often use color-coded areas to indicate the areas under threat. These maps can also show the expected rainfall totals, wind speeds, and storm surge heights. The forecasts also often include charts that show the storm’s expected intensity and movement over time. These charts can help you to understand the potential for any changes in the forecast. INOAA uses a standardized format to present its forecasts, which makes it easier to compare and understand information from different sources. This also allows for consistency in how the information is presented. Each advisory will contain information on the location, intensity, and direction of movement of the storm. They use sophisticated models to predict the storm’s trajectory, the estimated time of arrival, and the likely intensity of the storm. Understand the forecast terminology. Terms like “watch,” “warning,” “tropical storm,” and “hurricane” have specific meanings. A tropical storm watch means that tropical storm conditions are possible within the specified area, usually within 48 hours. A tropical storm warning means that tropical storm conditions are expected within the specified area, usually within 36 hours. A hurricane watch means that hurricane conditions are possible within the specified area, usually within 48 hours. A hurricane warning means that hurricane conditions are expected within the specified area, usually within 36 hours. Pay close attention to the potential hazards associated with the storm. These hazards can include high winds, heavy rainfall, storm surge, and tornadoes. Prepare your home and family for the storm, by taking measures to protect yourself from these hazards. Follow the instructions of local authorities. They will provide information about evacuation routes, shelters, and other important information.
Key Elements to Watch For:
- The Cone of Uncertainty: This is a visual representation of the potential path of the storm. The storm’s center will likely remain within this cone, but remember, the storm’s actual path can vary.
- Wind Speed and Intensity: INOAA forecasts will provide information on the expected wind speeds, categorized by the Saffir-Simpson Hurricane Wind Scale. This scale helps you understand the potential damage.
- Storm Surge: This is the rise in water level caused by the storm. INOAA forecasts will provide information on the expected storm surge heights, which is critical for coastal areas.
- Rainfall Amounts: Heavy rainfall is another major concern. The forecast will show projected rainfall totals, which can lead to flooding.
Using the INOAA Hurricane Tracker: A Hands-On Approach
Now, let’s get practical! The INOAA hurricane tracker is your go-to tool for real-time information. It’s like having a virtual window into the heart of the storm. It’s a dynamic tool that allows you to monitor the progress of a hurricane. The INOAA hurricane tracker is designed to provide you with the most up-to-date information on the location, intensity, and expected track of a hurricane. The tracker uses a combination of satellite imagery, radar data, and weather models to generate its forecasts. The INOAA hurricane tracker is designed to be user-friendly, and offers a wealth of information about a hurricane in a clear, easy-to-understand format.
Navigating the Tracker
- Interactive Maps: You can zoom in and out on the maps to see details of the storm’s location and potential impacts. The interactive maps also show you the latest satellite imagery, radar data, and model forecasts.
- Storm Information: Get details on wind speeds, storm surge potential, and expected rainfall. You can also view the storm’s current location, track, and intensity.
- Advisories and Warnings: The tracker provides direct links to the latest INOAA advisories and warnings. You can easily access the information about the storm’s potential impacts. You can also view the storm’s current location, track, and intensity.
- Historical Data: You can also access historical data on past storms. You can view the storm’s tracks, intensity, and impacts over time.
Tips for Effective Tracking
- Regular Updates: Check the tracker frequently, especially during hurricane season. The information is updated regularly, so it’s a good idea to check it often.
- Cross-Reference: Compare the information with other reliable sources. Make sure to compare the information with the forecasts from other sources.
- Prepare and Plan: Don’t just watch; prepare! The tracker helps you understand the risks, so you can make informed decisions about your safety.
Preparing for a Hurricane: Staying Safe and Informed
Alright, you’ve got the forecast and know how to track the storm. Now what? Preparation is key! Here are some crucial steps to take to ensure your safety and that of your loved ones.
Before the Storm
- Create an Emergency Kit: This should include essential supplies like food, water, medications, a first-aid kit, flashlights, batteries, and a battery-powered or hand-crank radio. You may need to evacuate or shelter in place, so having an emergency kit is essential.
- Develop an Emergency Plan: Discuss and decide on evacuation routes, shelter locations, and communication strategies with your family. Make sure everyone knows what to do in case of a hurricane. This plan will help you to stay safe during a hurricane.
- Secure Your Home: Trim trees, clear gutters, and reinforce doors and windows. Cover windows with plywood or hurricane shutters, if possible. These measures can help to prevent damage to your home during a hurricane.
- Stay Informed: Monitor INOAA forecasts and local news for the latest updates. Be aware of any watches or warnings issued for your area. The more information you have, the better prepared you will be.
During the Storm
- Stay Indoors: Remain in a safe place, away from windows and doors. The safest place to be is an interior room away from windows and doors.
- Listen to Official Announcements: Follow instructions from local authorities and emergency management officials. They will provide important information and guidance during the storm. This information will help you to stay safe during the storm.
- Avoid Floodwaters: Do not walk or drive through floodwaters. Floodwaters can be dangerous, containing debris, electrical hazards, and diseases. If you are caught in a flood, get to higher ground immediately.
After the Storm
- Assess Damage: Inspect your home for any damage and contact your insurance company. Make sure to document any damage before starting repairs. This documentation will be needed for your insurance claim.
- Be Cautious: Watch out for downed power lines, damaged trees, and other hazards. Downed power lines can be dangerous, so stay away from them. Damaged trees can also be hazardous, so be careful when near them.
- Help Others: Check on your neighbors and offer assistance if needed. After a hurricane, there is a lot of cleanup that needs to be done.
Conclusion: Your Role in Hurricane Preparedness
So there you have it, folks! Now you’re equipped with the knowledge to understand and use INOAA tropical forecasts and the hurricane tracker . Remember, staying informed and prepared is the best defense against these powerful storms. By using these tools and following the safety guidelines, you can protect yourself, your family, and your community. Stay safe, stay informed, and let’s weather the storm together!
Remember to stay updated with INOAA and local news outlets during hurricane season. Be prepared, and stay safe!